Prodej rodinného domu, Jaroměř - Josefov, Rumunská, 150 m2

Rumunská, Josefov

8 990 000 Kč /za nemovitost HYPOTÉKA od 40 180 Kč /za měsíc

(Kupní cena vč. provize RK a právního servisu.)

Prověřené firmy v Jaroměři

Informace k domu

Pokud hledáte rodinný dům v Jaroměři, tak si, prosím, prohlédněte naši nabídku prodeje domu se zdařilou rekonstrukcí.
K nastěhování během května 2026.

Dům ve vilové čtvrti v Rumunské ulici má v blízkosti veškerou občanskou vybavenost, a ze zahrady nabízí výhled na louky v okolí. Poloha domu je ideální, neboť se nachází v klidné lokalitě, ale i přes to máte na dosah školu, školku, obchody, úřady, supermarkety, lékaře, kulturu i hřiště. Milovníci přírody zde naleznou start pro své aktivity. Parkovat můžete na ulici před domem.

Dům prošel nákladnou a velmi zdařilou rekonstrukcí v roce 2021. V domě jsou provedeny nové rozvody topení, vody, elektřiny, odpadů. Nová je i střecha. Komín je nerezový - vyvložkovaný, po nedávné revizi. Právě probíhá dokončení zateplení verandy, zapravení a výmalba a aktuálně bude dokončen nátěr fasády světle kávovou barvou.

Co je pro Vás komfortní? 2 koupelny, 2 ložnice a impozantní moderní kuchyně propojená s obývacím pokojem. U domu máte navíc k dispozici předzahrádku, která byla navržena zahradní architektkou. Je zde pergola pro posezení a grilování, průchozí na zahradu za domem, dále je zde pískoviště pro děti, vysazené vysoké i malé traviny a hortenzie.

Za domem, kam se dostanete přes verandu po schodech nebo od pergoly z druhé strany domu po schodišti, můžete užívat prostornou zahradu s ovocnými stromy a prostorem pro bazén i trampolínu aj. Studna na pozemku je původní kopaná a vodu z ní lze využít na zalévání nebo na napouštění bazénu. Na pozemku je také skleník, kde si vyspětujete vlastní zeleninu.

Obytná část domu tj. 1.NP a 2. NP má celkovou výměru 110 m2. Přízemí: 50 m2 + schodiště (obývací pokoj s kuchyní, ložnice, koupelna, chodba), 2. NP: 50 m2 - chodba, koupelna s vanou, dětský pokoj, ložnice, techn. místnost a šatna. Příjemná je i veranda o výměře 6 m2, kterou majitelé právě renovují.
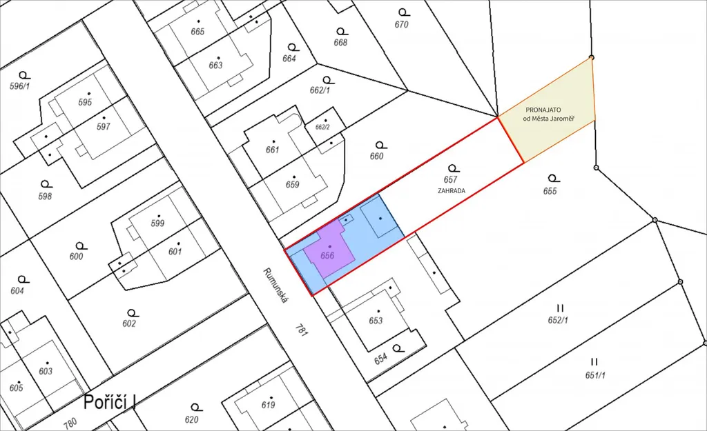
Výměra zahrady v OV činí 375 m2 plus část zahrady je pronajata od města. Výměra nebytových prostor v suterénu vhodných pro úpravu letní kuchyně, pokoje pro hosty, kanceláře nebo dalšího bytu činí 40 m2, můžete využít jako sklep nebo dokončit rekonstrukci (jsou zde betonové podlahy, přivedená voda i odpady).

Z ulice vcházíte brankou po dlážděném chodníku k hlavnímu vchodu na verandu, odkud lze vejít jak do obytné části domu, tak do zahrady za domem nebo do suterénních prostor. Z verandy vcházíte do obytné části vstupní chodbou se schodištěm. V přízemí se nachází moderní kuchyně s ostrůvkem a dřezem s vestavěnou myčkou, bílá luxusní kuchyňská linka má moderní vestavěné spotřebiče, díky kterým připravíte skvělé pochoutky pro své nejbližší. Kuchyně je propojena s obývacím pokojem, vše ve světlých barvách. Z obývacího pokoje vejdete do první ložnice. V přízemí je také vkusně vybavená koupelna se sprchovým koutem a toaletou v bílo - zlatém designu. Koupelna má podlahové vytápění.

Schodištěm z chodby vystoupáte do 2. nadzemního podlaží, které Vás znovu nadchne. Zde se nachází dětský pokoj, druhá ložnice s prostornou šatnou, druhá koupelna s vanou a toaletou a technická místnost s bojlerem, sušičkou a pračkou a s úložnými prostory. Slunit se můžete také na balkoně, kam vcházíte z chodby nad schodištěm, balkon je nově zaizolovaný bez položené dlažby, zábradlí je třeba upravit do finální podoby.

V suterénu (v 1.PP) jsou nedokončené prostory, které je možné upravit např. na kanceláře, dílnu nebo jsou tyto prostory vhodné i k bydlení či k pronájmu. Výhodou je samostatný vchod. Je zde zavedená voda i odpady i rozvody topení. Okna v suterénu jsou také nová, plastová. Zde se nachází technická místnost - elektrický bojler pro koupelnu v přízemí a plynový kotel, domovní vodoměr (pro obecní vodu).

Odpady jsou také nové a jsou svedeny do veřejné kanalizace. Vytápění v domě je možné jak plynovým kotlem s rozvodem po celém domě vč. suterénu nebo lze topit dřevem s automatickým přepínáním na plyn. Nová je také střecha z plechových šablon Blachotrapez. Střecha je izolovaná. Dům má nová plastová okna s dvojskly.
Na zahradě je zděná kolna s dílnou a skladem a zastřešený dřevník. Zahrada je velká a jsou zde rodící ovocné stromy (švestka, jabloně, třešně, višeň, broskvovník). Část zahrady směrem k louce mají současní majitelé pronajatou od města Jaroměř, roste zde ořešák. Pozemek lze od města odkoupit.

Výdaje spojené s užíváním nemovitosti: elektřina 2000-3000 Kč měsíčně dle užívání spotřebičů, plyn 1000-3000 Kč měsíčně podle vytápění, při vytápění dřevem snížíte náklady na minimum, dále vodné, stočné cca 1000 Kč měsíčně. Dům je napojen na veřejnou kanalizaci, je zde také původní jímka, kterou lze zprovoznit např. pro suterénní byt. Na pozemku je kopaná studna na užitkovou vodu (užívá se pro plnění nádrže na zalévání zahrady.). PENB třída G, který byl vypracovaný před rekonstrukcí.

Zařízení a vybavení domu může být součástí prodeje. Cena je konečná.
V případě zájmu o prohlídku mne neváhejte kontaktovat. Budu se na Vás těšit. Alena

Alenka Losová Molnárová - reality s Vaším úsměvem!

Parametry domu

Cena
8 990 000 Kč /za nemovitost Spočítat hypotéku
Poznámka k ceně
Kupní cena vč. provize RK a právního servisu.
Aktualizováno
10. 3. 2026
Adresa
Rumunská, Josefov
ID
MOL25146
Stavba
Cihlová
Stav objektu
Po rekonstrukci
Vybaveno
Částečně
Typ objektu
Patrový
Druh objektu
Samostatný
Užitná plocha
150 m2
Zastavěná plocha
289 m2
Podlahová plocha
150 m2
Plocha pozemku
664 m2
Plocha zahrady
375 m2
Třída energetické náročnosti
G - Mimořádně nehospodárná
Elektřina
230V, 400V
Odpad
Veřejná kanalizace, Jímka
Topení
Ústřední plynové, Ústřední tuhá paliva
Komunikace
Asfaltová, Betonová, Dlážděná
Telekomunikace
Internet
Doprava
Vlak, Dálnice, Silnice, MHD, Autobus
Voda
Vodovod, Studna
Topné těleso
Podlahové vytápění, Radiátory, Krbová kamna
Zdroj topení
Plynový kotel, Krb
Zdroj teplé vody
Plynový kotel
Balkon
Sklep
Bezbarierový přístup
Parkování

Kontaktovat makléře

Máte zájem o tento dům?

Tímto, v souladu s nařízením Evropského parlamentu a Rady (EU) 2016/679, v platném znění, prohlašuji, že mi je alespoň 16 let a uděluji tak svůj souhlas se zpracováním zadaných údajů (jméno, telefon, e-mail, ip adresa) společnosti B3 Technology, s.r.o., IČ: 07330600, se sídlem Novostavby 126/23, 435 11 Lom (správce dat), za účelem předání dotazu z tohoto formuláře Vámi vybranému inzerentovi a zpětného kontaktování mé osoby. Osobní údaje bude správce zpracovávat manuálně i automaticky přímo prostřednictvím svých zaměstnanců. Informace předané tímto formulářem budou uloženy v databázi správce maximálně po dobu 10 let. Odvolání souhlasu s uložením a zpracováním poskytnutých dat lze e-mailem na info@realitypro.eu. V případě podezření na neoprávněné použití Vámi poskytnutých údajů máte právo předat podnět k šetření Úřadu pro ochranu osobních údajů. Více informací
Chystáte se prodat nemovitost?
Pomůžeme Vám!

Inzerát si prohlédlo 23 lidí

Prodejce

Alena Molnárová

Alena Molnárová

Hlídací pes

Chcete dostávat emailem podobné nabídky prodeje rodinných domů v Jaroměři?

Top nabídky

Podobné nemovitosti