Soccer reality

Prodej pozemku pro bydlení, Škvorec, 2723 m2

Škvorec

15 000 000 Kč /za nemovitost HYPOTÉKA od 67 041 Kč /za měsíc
Prověřené firmy v Škvorci

Informace k pozemku

Exkluzivně Vám nabízíme k prodeji soubor tří pozemků o celkové výměře 2 723 m², situovaných v ulici Na Dolíkách v městysi Škvorec (Praha–východ).
Pozemky se nacházejí na konci klidné ulice lemované rodinnými domy a nabízejí příjemný výhled do volné krajiny. Na pozemku je k dispozici přípojka elektrické energie a vrtaná studna. Přístup je zajištěn z veřejné asfaltové komunikace.
Dle územního plánu spadají pozemky do funkční plochy BI – bydlení individuální, určené pro výstavbu rodinného domu. Maximální zastavitelnost činí 30 % u samostatně stojícího domu a 40 % u dvojdomu, s maximálně dvěma nadzemními podlažími.
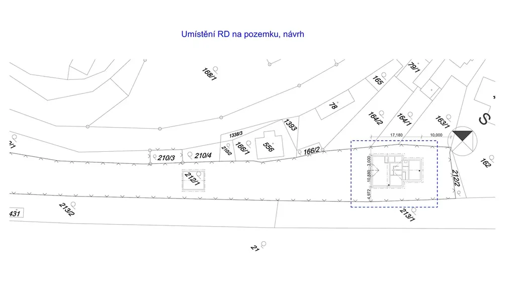
Významnou výhodou je již zpracovaný projekt na výstavbu rodinného domu o celkové podlahové ploše 273 m², rozděleného na dvě bytové jednotky (5+kk a 3+kk) s odděleně stojící garáží. Projekt není podmínkou prodeje – budoucí vlastník může realizovat stavbu dle vlastních představ, nicméně představuje zajímavou úsporu času i nákladů na projektovou přípravu.
Soubor tvoří dva hlavní pozemky o výměře 1 473 m² a 1 109 m² a dále podíl na příjezdové komunikaci (viz plánek).
Městys Škvorec nabízí velmi dobrou občanskou vybavenost (základní a mateřská škola, obchody, pošta, restaurace) a zároveň výbornou dopravní dostupnost do Prahy (autobus PID, vlak).

Parametry pozemku

Cena
15 000 000 Kč /za nemovitost Spočítat hypotéku
Aktualizováno
21. 4. 2026
Adresa
Škvorec
ID
0029
Lokalita objektu
Klidná část obce
Plocha pozemku
2723 m2
Komunikace
Asfaltová, Zpevněná
Voda
Studna

Kontaktovat makléře

Máte zájem o tento pozemek?

Tímto, v souladu s nařízením Evropského parlamentu a Rady (EU) 2016/679, v platném znění, prohlašuji, že mi je alespoň 16 let a uděluji tak svůj souhlas se zpracováním zadaných údajů (jméno, telefon, e-mail, ip adresa) společnosti B3 Technology, s.r.o., IČ: 07330600, se sídlem Novostavby 126/23, 435 11 Lom (správce dat), za účelem předání dotazu z tohoto formuláře Vámi vybranému inzerentovi a zpětného kontaktování mé osoby. Osobní údaje bude správce zpracovávat manuálně i automaticky přímo prostřednictvím svých zaměstnanců. Informace předané tímto formulářem budou uloženy v databázi správce maximálně po dobu 10 let. Odvolání souhlasu s uložením a zpracováním poskytnutých dat lze e-mailem na info@realitypro.eu. V případě podezření na neoprávněné použití Vámi poskytnutých údajů máte právo předat podnět k šetření Úřadu pro ochranu osobních údajů. Více informací
Chystáte se prodat nemovitost?
Pomůžeme Vám!

Inzerát si prohlédlo 1 lidí

Prodejce

Mgr. Nikita Kormilitsyn

Mgr. Nikita Kormilitsyn

Hlídací pes

Chcete dostávat emailem podobné nabídky prodeje pozemků pro bydlení v Škvorci?

Podobné nemovitosti