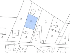
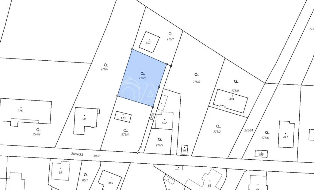
Prodej pozemku pro bydlení, Chotoviny, Zámecká, 713 m2 (ID: 2862420)

Zámecká, Chotoviny

1 897 000 Kč /za nemovitost HYPOTÉKA od 8 478 Kč /za měsíc
Prověřené firmy v Chotovinách

Výkup a prodej starého nábytku

Informace k pozemku

Nabízím k prodeji stavební pozemek o výměře 713m2, nacházející se v klidné a vyhledávané lokalitě obce Chotoviny. Na mírně svažitém pozemku se nachází několik vzrostlých jehličnanů i ovocných stromů, což místu dodává kouzlo a přírodní atmosféru. Pro milovníky přírody a klidu jde o ideální místo pro výstavbu vašeho nového domova.
Součástí prodeje je i spoluvlastnický podíl na pozemku 275/8 o výměře 179m2, který zajišťuje přístup k prodávanému pozemku.

Hlavní výhody:
- ideální pozemek pro výstavbu menšího domu s max. 2 nadzemními podlažím, případně jednopodlažní s obytným podkrovím; zastavitelnost pozemku max. 40%
- inženýrské sítě na hranici pozemku
- příznivá poloha pozemku v klidné části obce
- výbornou dobrou dopravní dostupností - dálnice D3 směrem do Tábora, případně na Prahu; autobusová zastávka jen 250 m
- přímo v Chotovinách se nachází základní i mateřská škola, sportovní hala, fotbalové hřiště, supermarket i obecní úřad

Možnost financování koupě hypotečním úvěrem - v případě zájmu vám rádi pomůžeme s jeho vyřízením.

Pokud hledáte klidné místo k bydlení s výbornou dostupností a veškerým potřebným zázemím, je tento pozemek právě pro vás.
Neváhejte a kontaktujte mě pro více informací nebo prohlídku pozemku.

Parametry pozemku

Cena
1 897 000 Kč /za nemovitost Spočítat hypotéku
Aktualizováno
13. 4. 2026
Adresa
Zámecká, Chotoviny
ID
17778
Plocha pozemku
713 m2
Plyn
Plynovod
Odpad
Veřejná kanalizace
Komunikace
Dlážděná, Zpevněná
Doprava
Vlak, Dálnice, Silnice, MHD, Autobus
Voda
Vodovod
Bezbarierový přístup

Kontaktovat makléře

Realitní kancelář

Logo QARA, s.r.o.

QARA, s.r.o.

Šafaříkova 201/17, Praha

Chystáte se prodat nemovitost?
Pomůžeme Vám!

Máte zájem o tento pozemek?

Tímto, v souladu s nařízením Evropského parlamentu a Rady (EU) 2016/679, v platném znění, prohlašuji, že mi je alespoň 16 let a uděluji tak svůj souhlas se zpracováním zadaných údajů (jméno, telefon, e-mail, ip adresa) společnosti B3 Technology, s.r.o., IČ: 07330600, se sídlem Novostavby 126/23, 435 11 Lom (správce dat), za účelem předání dotazu z tohoto formuláře Vámi vybranému inzerentovi a zpětného kontaktování mé osoby. Osobní údaje bude správce zpracovávat manuálně i automaticky přímo prostřednictvím svých zaměstnanců. Informace předané tímto formulářem budou uloženy v databázi správce maximálně po dobu 10 let. Odvolání souhlasu s uložením a zpracováním poskytnutých dat lze e-mailem na info@realitypro.eu. V případě podezření na neoprávněné použití Vámi poskytnutých údajů máte právo předat podnět k šetření Úřadu pro ochranu osobních údajů. Více informací
Chystáte se prodat nemovitost?
Pomůžeme Vám!

Inzerát si prohlédlo 0 lidí

Prodejce

Ing. Jan Novotný

Ing. Jan Novotný

Hlídací pes

Chcete dostávat emailem podobné nabídky prodeje pozemků pro bydlení v Chotovinách?

Podobné nemovitosti