Prodej pozemku pro bydlení, Petrov nad Desnou, 4650 m2 (ID: 2859405)

Petrov nad Desnou

990 Kč /za metr čtvereční HYPOTÉKA od 4 Kč /za měsíc

(vč. DPH)

Prověřené firmy v Petrově nad Desnou

Informace k pozemku

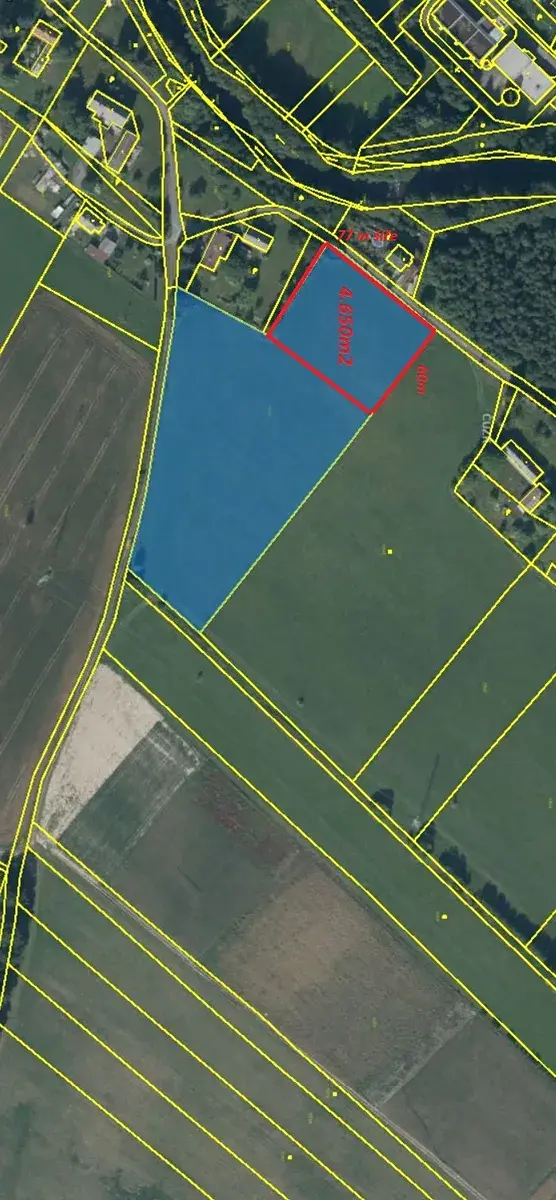
Vlastník prodá rovinatý, slunný pozemek v obci Petrov nad Desnou, v části Terezín, který se nachází cca 8km od Šumperku s dojezdem přibližně 12 min. z centra města. Pozemek se nachází v klidné části obce a dle platného územního plánu spadá do lokality, která je označena SV – plochy smíšené obytné. Tohle místo je jako stvořené pro ty, co hledají klid, pohodu a kus přírody.

Pozemek má výměru cca 4.650m2, metry budou zpřesněny geometrickým plánem ( rozměry cca 76m x 61m). Předmětem prodeje intravilánová část, která bude oddělena právě GP.

Přístup na parcelu je bezproblémový z asfaltové obecní cesty.

Inženýrské sítě:

Kanalizace – 100m od hranice pozemku nebo možnost řešit individuálně ČOV

Voda – stávající řad je umístěn na hranici pozemku

Elektřina – stávající vedení na hranici pozemku

Plyn – zatím v návrhu ÚP (2023) v uliční čáře

Jedná se o příjemné místo k rodinnému bydlení. Umístění pozemku je nedaleko vyhledávané lokality Velkolosinského zámku, lázeňského areálu či jako směr k horským střediskům.

Výměrou i umístěním pozemku v klidné lokalitě je exkluzivní místo vhodné pro milovníky podhorské venkovské romantiky s výhledem na Gránátovou skálu a pohoří Hrubého Jeseníku. Do 50 m možnost koupání v řece Desná. Kompletní občanská vybavenost do 1 km.

Cena je 990Kč/m2 vč. DPH.

Parametry pozemku

Cena
990 Kč /za metr čtvereční Spočítat hypotéku
Poznámka k ceně
vč. DPH
Aktualizováno
10. 4. 2026
Adresa
Petrov nad Desnou
Lokalita objektu
Klidná část obce
Plocha pozemku
4650 m2
Elektřina
400V
Odpad
Veřejná kanalizace, ČOV pro celý objekt
Komunikace
Asfaltová
Doprava
Silnice, Autobus
Voda
Vodovod

Kontaktovat makléře

Máte zájem o tento pozemek?

Tímto, v souladu s nařízením Evropského parlamentu a Rady (EU) 2016/679, v platném znění, prohlašuji, že mi je alespoň 16 let a uděluji tak svůj souhlas se zpracováním zadaných údajů (jméno, telefon, e-mail, ip adresa) společnosti B3 Technology, s.r.o., IČ: 07330600, se sídlem Novostavby 126/23, 435 11 Lom (správce dat), za účelem předání dotazu z tohoto formuláře Vámi vybranému inzerentovi a zpětného kontaktování mé osoby. Osobní údaje bude správce zpracovávat manuálně i automaticky přímo prostřednictvím svých zaměstnanců. Informace předané tímto formulářem budou uloženy v databázi správce maximálně po dobu 10 let. Odvolání souhlasu s uložením a zpracováním poskytnutých dat lze e-mailem na info@realitypro.eu. V případě podezření na neoprávněné použití Vámi poskytnutých údajů máte právo předat podnět k šetření Úřadu pro ochranu osobních údajů. Více informací
Chystáte se prodat nemovitost?
Pomůžeme Vám!

Inzerát si prohlédlo 0 lidí

Prodejce

Renáta Venclová

Renáta Venclová

Hlídací pes

Chcete dostávat emailem podobné nabídky prodeje pozemků pro bydlení v Petrově nad Desnou?

Podobné nemovitosti