Prodej pozemku pro bydlení, Brno, Novomoravanská, 1845 m2

Novomoravanská, Brno-jih

15 990 000 Kč /za nemovitost HYPOTÉKA od 71 466 Kč /za měsíc

(včetně DPH, včetně poplatků, včetně provize, včetně právního servisu)

Prověřené firmy v Brně

Informace k pozemku

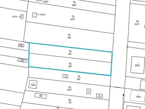
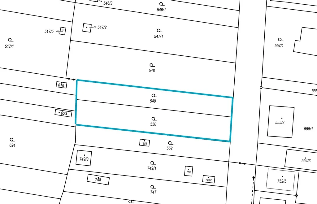
Nabízíme k prodeji výjimečný stavební pozemek o rozloze 1 845 m², vhodný pro výstavbu rodinného domu či reprezentativní vily. Nachází se v žádané lokalitě Dolní Heršpice, pouhých pět minut jízdy od centra Brna, v klidné části s výbornou dostupností MHD. Zastávka Moravanské lány (tramvaj č. 2) je v docházkové vzdálenosti, což zajišťuje pohodlné spojení s městem.

Pozemek má uliční šíři přibližně 23 metrů a délku okolo 80 metrů. Je rovinatý, částečně oplocený, upravený a vyčištěný, bez náletových dřevin, připravený k okamžitému využití. Dle platného územního plánu se nachází v zóně čistého bydlení. Svými parametry je vhodný jak pro standardní rodinný dům, tak pro větší či vícegenerační bydlení. Zároveň může být zajímavou investiční příležitostí.

Inženýrské sítě: na pozemku je obecní vodovod včetně vodovodní šachty, v přilehlé komunikaci pak elektřina (240/400 V), dešťová kanalizace a plyn
Dolní Heršpice nabízejí velmi dobrou dopravní obslužnost i kompletní občanskou vybavenost v dojezdové vzdálenosti. Lokalita umožňuje rychlé napojení na dálnice D1, D2 a D52 a v blízkosti se nachází obchodní centra Futurum, Olympia a Avion. V okolí je dostupná mateřská i základní škola, obchody, pošta, služby, sportoviště, restaurace i zdravotní péče.
Odměna zprostředkovatele není zahrnuta v uvedené ceně.

Parametry pozemku

Cena
15 990 000 Kč /za nemovitost Spočítat hypotéku
Poznámka k ceně
včetně DPH, včetně poplatků, včetně provize, včetně právního servisu
Aktualizováno
2. 4. 2026
Adresa
Novomoravanská, Brno-jih
ID
53396
Plocha pozemku
1845 m2
Elektřina
230V, 400V
Plyn
Plynovod
Doprava
Dálnice, Silnice, MHD, Autobus
Voda
Vodovod

Kontaktovat makléře

Máte zájem o tento pozemek?

Tímto, v souladu s nařízením Evropského parlamentu a Rady (EU) 2016/679, v platném znění, prohlašuji, že mi je alespoň 16 let a uděluji tak svůj souhlas se zpracováním zadaných údajů (jméno, telefon, e-mail, ip adresa) společnosti B3 Technology, s.r.o., IČ: 07330600, se sídlem Novostavby 126/23, 435 11 Lom (správce dat), za účelem předání dotazu z tohoto formuláře Vámi vybranému inzerentovi a zpětného kontaktování mé osoby. Osobní údaje bude správce zpracovávat manuálně i automaticky přímo prostřednictvím svých zaměstnanců. Informace předané tímto formulářem budou uloženy v databázi správce maximálně po dobu 10 let. Odvolání souhlasu s uložením a zpracováním poskytnutých dat lze e-mailem na info@realitypro.eu. V případě podezření na neoprávněné použití Vámi poskytnutých údajů máte právo předat podnět k šetření Úřadu pro ochranu osobních údajů. Více informací
Chystáte se prodat nemovitost?
Pomůžeme Vám!

Inzerát si prohlédlo 0 lidí

Prodejce

Vojtěch Urbánek

Vojtěch Urbánek

Hlídací pes

Chcete dostávat emailem podobné nabídky prodeje pozemků pro bydlení v Brně?

Podobné nemovitosti