Prodej pozemku pro bydlení, Praha, 4855 m2

Praha 10

34 460 000 Kč /za nemovitost HYPOTÉKA od 154 015 Kč /za měsíc

(vč. realitního, právního a hypotéčního servisu)

Prověřené firmy v Praze 10

Stěhovací služby

Výkup a prodej starého nábytku

Pojištění a finance

Informace k pozemku

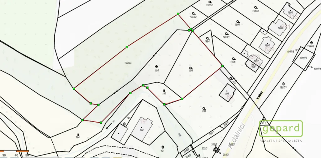
Nabízíme soubor pozemků situovaný na pomezí městských částí Praha - Pitkovice a Praha - Uhříněves, tvořící funkční celek o celkové výměře 4 855 m², část je dle platného územního plánu vedena jako zastavitelná plocha OB – čistě obytné - určená pro bydlení a část jako nezastavitelná plocha ZMK - zeleň městská a krajinná. Nezastavitelná část pozemků plynule navazuje na přírodní zeleň u Pitkovického potoka, který místy tvoří její přírodní hranici. Podél Pitkovického potoka je vymezen biokoridor ÚSES. Tyto skutečnosti podtrhují výjimečnost a přírodní charakter lokality, kde je propojena příroda, voda a klid a zároveň zachována dostupnost kompletní občanské vybavenosti hlavního města.

Jedná se o pozemky parc. č. 195, 197, 198 v katastrálním území Pitkovice a parc. č. 1970/4 v katastrálním území Uhříněves. Přístup je od stávající komunikace zajištěn prostřednictvím pozemku parc. č. 200 (k.ú. Pitkovice). Kompletní inženýrské sítě se nacházejí na hranici sousedního pozemku u zastavitelné části.

Pozemky nabízí flexibilní možnosti využití:
• realizace jednoho velkorysého rodinného domu s nadstandardní zahradou nebo
• rozdělení na 2–3 dostatečně velké stavební parcely, kde každá bude mít vlastní zastavitelnou část v kategorii OB a navazující nezastavitelnou plochu v kategorii ZMK pro zahradu.
Zahrady tak mohou sousedit s vymezeným biokoridorem ÚSES (či do něj zasahovat), což zajišťuje dlouhodobé zachování klidného, zeleného prostředí a vysokou míru soukromí.

Pozemky jsou vhodné jak pro koncového klienta hledajícího výjimečné a nadstandardní bydlení, tak pro investora uvažujícího o citlivém přerozdělení pozemků v souladu s územním plánem.

V případě zájmu pro Vás zajistíme nejvýhodnější podmínky financování na trhu a rovněž případný prodej Vaší stávající nemovitosti. Pro více informací či domluvení termínu prohlídky mne, prosím, kontaktujte.

Parametry pozemku

Cena
34 460 000 Kč /za nemovitost Spočítat hypotéku
Poznámka k ceně
vč. realitního, právního a hypotéčního servisu
Aktualizováno
31. 3. 2026
Adresa
Praha 10
ID
12067
Lokalita objektu
Klidná část obce
Plocha pozemku
4855 m2
Odpad
Veřejná kanalizace
Doprava
Vlak, Dálnice, Silnice, MHD, Autobus
Voda
Studna
Převod do OV

Kontaktovat makléře

Máte zájem o tento pozemek?

Tímto, v souladu s nařízením Evropského parlamentu a Rady (EU) 2016/679, v platném znění, prohlašuji, že mi je alespoň 16 let a uděluji tak svůj souhlas se zpracováním zadaných údajů (jméno, telefon, e-mail, ip adresa) společnosti B3 Technology, s.r.o., IČ: 07330600, se sídlem Novostavby 126/23, 435 11 Lom (správce dat), za účelem předání dotazu z tohoto formuláře Vámi vybranému inzerentovi a zpětného kontaktování mé osoby. Osobní údaje bude správce zpracovávat manuálně i automaticky přímo prostřednictvím svých zaměstnanců. Informace předané tímto formulářem budou uloženy v databázi správce maximálně po dobu 10 let. Odvolání souhlasu s uložením a zpracováním poskytnutých dat lze e-mailem na info@realitypro.eu. V případě podezření na neoprávněné použití Vámi poskytnutých údajů máte právo předat podnět k šetření Úřadu pro ochranu osobních údajů. Více informací
Chystáte se prodat nemovitost?
Pomůžeme Vám!
Theleadway banner

Inzerát si prohlédlo 4 lidí

Prodejce

PhDr. Jana Bauerová, Ph.D.

PhDr. Jana Bauerová, Ph.D.

Hlídací pes

Chcete dostávat emailem podobné nabídky prodeje pozemků pro bydlení v Praze 10?

Podobné nemovitosti