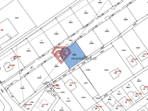
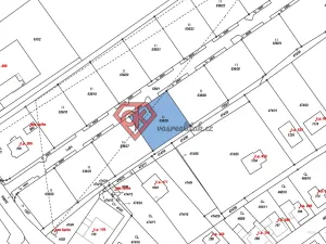
Prodej pozemku pro bydlení, Ústí nad Orlicí, 833 m2

Ústí nad Orlicí, Hylváty

2 999 000 Kč /za nemovitost HYPOTÉKA od 13 404 Kč /za měsíc
Prověřené firmy v Ústí nad Orlicí

Informace k pozemku

Vítejte v Hylvátech!
Máte sen o vlastním bydlení, přesně podle svých představ na slunném a klidném místě a přitom na dosah ruky od všeho důležitého? Tento rovinatý pozemek o výměře 833 m² představuje naprosto výjimečnou příležitost.
Je to místo, kde se klid přírody potkává s maximálním komfortem pro Vaši rodinu.

Tento pozemek je součástí unikátního projektu, čítajícího celkem 12 stavebních parcel. Je to tedy ideální šance, zajistit si moderní bydlení v nově vznikající čtvrti.

Pár technických údajů?
- stavební pozemek pro rodinný dům
- ideálně rovinatý
- inženýrské sítě - kompletně připraveno (elektřina, voda, kanalizace)
- přístup - nově vybudovaná, neprůjezdná asfaltová komunikace, což zaručuje minimální provoz, klid a maximální bezpečí pro Vás a Vaši rodinu
- k dispozici také datová síť
- orientace parcel - jihozápad

O jakou se jedná lokalitu?
Hylváty jsou úžasným místem pro život. Nacházejí se v těsné blízkosti centra Ústí nad Orlicí, takže máte veškerou občanskou vybavenost okresního města doslova za rohem. Školy, školky, nemocnice, úřady, sportoviště i obchodní centra vyřídíte během pár minut a přitom bydlíte v klidné lokalitě.

Máte představu o svém budoucím domě? Přijďte se podívat na pozemek, který mu dá ten nejlepší základ.
Zavolejte mi a já se na Vás budu těšit na prohlídce!

Poznámka:
- uvedené výměry jsou pouze orientační
- v případě více zájemců bude nemovitost prodána nejlepší nabídce a majitel si vyhrazuje právo vybrat kupujícího na základě jim zvolených kritérií
- veškeré zveřejněné údaje obsažené v tomto inzerátu mají pouze informativní charakter a nejsou nabídkou ve smyslu § 1731 nebo § 1732 občanského zákoníku, ani se nejedná o veřejný příslib dle § 1733 občanského zákoníku

Parametry pozemku

Cena
2 999 000 Kč /za nemovitost Spočítat hypotéku
Aktualizováno
13. 3. 2026
Adresa
Ústí nad Orlicí, Hylváty
ID
0433
Lokalita objektu
Klidná část obce
Plocha pozemku
833 m2
Elektřina
230V
Odpad
Veřejná kanalizace
Komunikace
Asfaltová
Telekomunikace
Kabelová televize
Doprava
Vlak, Silnice, MHD, Autobus
Voda
Vodovod
Převod do OV

Kontaktovat makléře

Máte zájem o tento pozemek?

Tímto, v souladu s nařízením Evropského parlamentu a Rady (EU) 2016/679, v platném znění, prohlašuji, že mi je alespoň 16 let a uděluji tak svůj souhlas se zpracováním zadaných údajů (jméno, telefon, e-mail, ip adresa) společnosti B3 Technology, s.r.o., IČ: 07330600, se sídlem Novostavby 126/23, 435 11 Lom (správce dat), za účelem předání dotazu z tohoto formuláře Vámi vybranému inzerentovi a zpětného kontaktování mé osoby. Osobní údaje bude správce zpracovávat manuálně i automaticky přímo prostřednictvím svých zaměstnanců. Informace předané tímto formulářem budou uloženy v databázi správce maximálně po dobu 10 let. Odvolání souhlasu s uložením a zpracováním poskytnutých dat lze e-mailem na info@realitypro.eu. V případě podezření na neoprávněné použití Vámi poskytnutých údajů máte právo předat podnět k šetření Úřadu pro ochranu osobních údajů. Více informací
Chystáte se prodat nemovitost?
Pomůžeme Vám!

Inzerát si prohlédlo 4 lidí

Prodejce

Ondřej Kolář

Ondřej Kolář

Hlídací pes

Chcete dostávat emailem podobné nabídky prodeje pozemků pro bydlení v Ústí nad Orlicí?

Podobné nemovitosti