Prodej bytu 3+1, Benešov, Na Spořilově, 71 m2 (ID: 2786125)

Na Spořilově, Benešov

6 050 000 Kč /za nemovitost HYPOTÉKA od 27 040 Kč /za měsíc

(cena vč. provize RK)

Prověřené firmy v Benešově

Informace k bytu

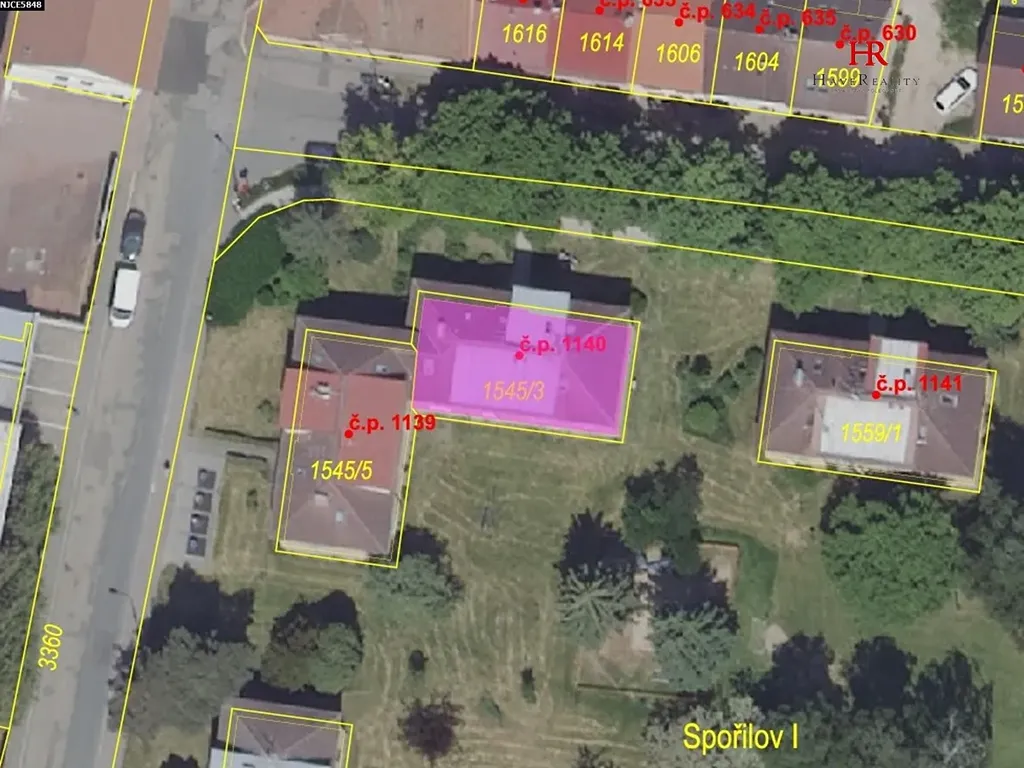
Nabízíme k prodeji zrekonstruovanou, bytovou jednotku 3+1 nacházející se v cihlovém domě v blízkosti centra města Benešova u Prahy, ulice Na Spořilově 1140. Tato bytová jednotka v osobním vlastnictví o dispozici 3+1 a podlahové ploše bytu 71,2 m2 (bez sklepa, 87,1 m2 se sklepem), se nachází ve 2. podlaží z celkových 3. podlaží Dispozice: obývací pokoj 22,0 m2, kuchyň 9,7 m2, předsíň 5,9 m2, koupelna s vanou umyvadlem 2,7 m2, technická místnost s místem na pračku 1,5 m2, ložnice 12,3 m2, dětský pokoj 14,9 m2, samostatné WC 1,3 m2, komora 0,9 m2, sklep 15,9 m2. Okna – plastová. Podlahy – vinylová podlaha, dlažba. Interiérové dveře s obložkou. Topení – ústředí, vlastní elektrokotel v technické místnosti. Ohřev vody – elektrický bojler umístěný také v tech. místnosti. Do bytu je přiveden TV signál a optický telekomunikační kabel. K bytu náleží prostorný sklep o velikosti 15,9 m2 (není zahrnuto do celkové plochy bytu), umístěný v suterénu domu. Možno využívat společnou sušárnu. Tento bytový dům s 5 byty je umístěn ve velice pěkné a klidné lokalitě v blízkosti centra města Benešov (Spořilov I.). Byt prošel kompletní rekonstrukcí. PENB – třída G – není dodán. Město Benešov se nachází ve Středočeském kraji, cca 40 km jihovýchodně od Prahy. Má velice dobrou dopravní obslužnost a dostupnost do Prahy (vlak, autobus). V blízkém okolí domu se nachází veškerá občanská vybavenost. Za domem je zeleň a dětské hřiště. V okolí Benešova naleznete velké množství památek, zajímavostí, kulturního a sportovního vyžití. Pro sjednání nezávazné prohlídky nás prosím kontaktujte na uvedených číslech. V případě zájmu Vám zprostředkujeme sjednání hypotéky. Volné od 1. 3.2026.

Parametry bytu

Cena
6 050 000 Kč /za nemovitost Spočítat hypotéku
Poznámka k ceně
cena vč. provize RK
Aktualizováno
23. 1. 2026
Adresa
Na Spořilově, Benešov
Stavba
Cihlová
Stav objektu
Po rekonstrukci
Patro
2. z 3
Lokalita objektu
Klidná část obce
Vlastnictví
Osobní
Užitná plocha
71 m2
Podlahová plocha
71 m2
Třída energetické náročnosti
G - Mimořádně nehospodárná
Převod do OV

Kontaktovat makléře

Máte zájem o tento byt?

Tímto, v souladu s nařízením Evropského parlamentu a Rady (EU) 2016/679, v platném znění, prohlašuji, že mi je alespoň 16 let a uděluji tak svůj souhlas se zpracováním zadaných údajů (jméno, telefon, e-mail, ip adresa) společnosti B3 Technology, s.r.o., IČ: 07330600, se sídlem Novostavby 126/23, 435 11 Lom (správce dat), za účelem předání dotazu z tohoto formuláře Vámi vybranému inzerentovi a zpětného kontaktování mé osoby. Osobní údaje bude správce zpracovávat manuálně i automaticky přímo prostřednictvím svých zaměstnanců. Informace předané tímto formulářem budou uloženy v databázi správce maximálně po dobu 10 let. Odvolání souhlasu s uložením a zpracováním poskytnutých dat lze e-mailem na info@realitypro.eu. V případě podezření na neoprávněné použití Vámi poskytnutých údajů máte právo předat podnět k šetření Úřadu pro ochranu osobních údajů. Více informací
Chystáte se prodat nemovitost?
Pomůžeme Vám!

Inzerát si prohlédlo 0 lidí

Prodejce

Jiří Čeleda

Jiří Čeleda

Hlídací pes

Chcete dostávat emailem podobné nabídky prodeje bytů 3+1 v Benešově?

Podobné nemovitosti