Prodej pozemku pro bydlení, Librantice, 3035 m2 (ID: 2781152)

Librantice

7 590 000 Kč /za nemovitost HYPOTÉKA od 33 923 Kč /za měsíc

(cena vč. všech poplatků a právního servisu, včetně poplatků, včetně provize, včetně právního servisu)

Prověřené firmy v Libranticích

Informace k pozemku

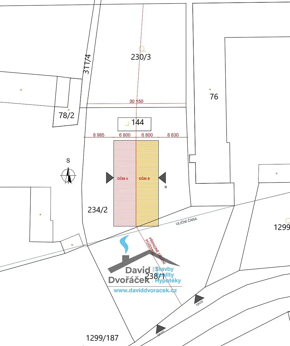
V obci Librantice, pouhých pár minut od Hradce Králové, nabízíme velkorysý stavební pozemek o celkové výměře 3 035 m², který je svým tvarem, přístupem i územní regulací ideální pro developerský záměr.

Na základě urbanistického řešení a prověřených možností využití je pozemek vhodný pro výstavbu dvou bytových domů, každý až se 3 bytovými jednotkami – tedy celkem až 6 bytových jednotek.

Prodej pozemku probíhá jako celek.

Základní parametry
• Výměra: 3 035 m²
• Cena: 2 500 Kč/m²
• Celková cena: cca 7 590 000 Kč

Proč je tento pozemek ideální pro investici
• Ucelený a dobře využitelný tvar pozemku
• Přímý přístup z veřejné komunikace (bez složitých břemen)
• Inženýrské sítě na hranici pozemku – elektřina, plyn, vlastní studna
• Možnost efektivního rozdělení a maximálního vytěžení dle ÚP
• Klidná rezidenční lokalita s dlouhodobou poptávkou po bydlení

Lokalita, kterou investoři hledají
• Kompletní občanská vybavenost v obci (MŠ, ZŠ, obchod, služby)
• Hradec Králové do 10 minut
• Pravidelné autobusové spojení
• Stabilní a rozvíjející se obec v zázemí krajského města

Součástí prezentace je také orientační grafické dělení pozemku a náhled možné zástavby, které slouží jako dobrý základ pro další projektovou přípravu.

Parametry pozemku

Cena
7 590 000 Kč /za nemovitost Spočítat hypotéku
Poznámka k ceně
cena vč. všech poplatků a právního servisu, včetně poplatků, včetně provize, včetně právního servisu
Aktualizováno
18. 1. 2026
Adresa
Librantice
ID
00140
Plocha pozemku
3035 m2
Elektřina
230V
Plyn
Plynovod
Odpad
Veřejná kanalizace
Komunikace
Asfaltová
Doprava
Dálnice, Silnice, Autobus
Voda
Místní zdroj vody, Studna

Kontaktovat makléře

Realitní kancelář

David Dvořáček - Reality

Jana Černého 545/48, Hradec Králové

Chystáte se prodat nemovitost?
Pomůžeme Vám!

Máte zájem o tento pozemek?

Tímto, v souladu s nařízením Evropského parlamentu a Rady (EU) 2016/679, v platném znění, prohlašuji, že mi je alespoň 16 let a uděluji tak svůj souhlas se zpracováním zadaných údajů (jméno, telefon, e-mail, ip adresa) společnosti B3 Technology, s.r.o., IČ: 07330600, se sídlem Novostavby 126/23, 435 11 Lom (správce dat), za účelem předání dotazu z tohoto formuláře Vámi vybranému inzerentovi a zpětného kontaktování mé osoby. Osobní údaje bude správce zpracovávat manuálně i automaticky přímo prostřednictvím svých zaměstnanců. Informace předané tímto formulářem budou uloženy v databázi správce maximálně po dobu 10 let. Odvolání souhlasu s uložením a zpracováním poskytnutých dat lze e-mailem na info@realitypro.eu. V případě podezření na neoprávněné použití Vámi poskytnutých údajů máte právo předat podnět k šetření Úřadu pro ochranu osobních údajů. Více informací
Chystáte se prodat nemovitost?
Pomůžeme Vám!

Inzerát si prohlédlo 0 lidí

Prodejce

David Dvořáček

David Dvořáček

Hlídací pes

Chcete dostávat emailem podobné nabídky prodeje pozemků pro bydlení v Libranticích?

Podobné nemovitosti