Dražba rodinného domu, Litohlavy, 142 m2

Litohlavy

1 893 533 Kč /za nemovitost Získejte výhodnou HYPOTÉKU

(nejnižší podání)

Prověřené firmy v Litohlavách

Podlahy

Stěhovací služby

Informace k domu

Předmětem dražby je podíl 1/2 na:

1.1. pozemky
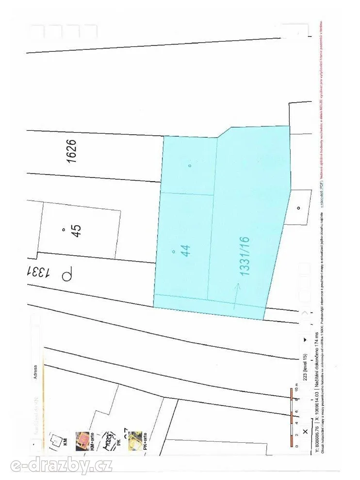
Zastavěná plocha a nádvoří č. parc. 44 a ostatní plocha č. parc. 1331/16 v obci a katastrálním území Litohlavy tvoří společně jeden funkční celek. Přístup na pozemky je ze zpevněné komunikace místního významu. V dané lokalitě jsou vybudovány tyto inženýrské sítě - veřejný vodovod, kanalizace, elektrická síť a plynovodní řad. Pozemky jsou rovinaté a na stavebním pozemku se nachází rodinný dům č.p. 48 s původní stodolou a přístřeškem pro posezení. Venkovní úpravy jsou minimální - přípojky jednotlivých sítí, uliční oplocení s vjezdovou bránou.

1.2. Rodinný dům č.p. 48
Rodinný dům postavený cca před sto lety jako součást drobné zemědělské usedlosti na základových pasech bez podsklepení a vybudovaného podkroví. Obvodové nosné konstrukce zděné z míšeného cihelného a kamenného zdiva na tl. nad 60 cm. Stropní konstrukce nad obytnou částí trámové s podbitím a záklopem v provozní části klenbové. Zastřešení je provedeno sedlovým dřevěným krovem pokrytým taškovou betonovou krytinou Bramac. Podlahové konstrukce provedeny v kombinaci keramických dlažeb a PVC Vinyl, Vnitřní omítky vápenné štukové, venkovní omítky stříkané břizolitové. Okna osazena plastová, dveře vnitřní do obložkových zárubní novodobé. Rozvody el. instalace nové, hromosvod není instalovaný, rozvody vody teplé a studené v PPR potrubí, rozvody kanalizace v plastovém potrubí do veřejné kanalizace. Plyn do objektu je zavedený v běžném provedení a rozsahu. Vytápění je zajištěno plynovým kotlem s radiátorovými články. Ohřev TÚV je zajištěn el. boilerem. Zařizovací předměty v koupelně. WC a kuchyni ve standardním provedení.
Objekt byl po roce 1990 nově pokryt střešní krytinou a od roku 2019 je rekonstruován do současné podoby- výměna podlahových krytin, výměna oken, výměna dveří, výměna rozvodů el. instalace, provedení nových rozvodů kanalizace, vody, plynu, vytápění a zařizovacích předmětů v kuchyni, lázni a WC. v Posledním období bylo započato s přístavbou jednoho pokoje, která není dokončena pouze v hrubé stavbě.
Dům obsahuje: přízemí - chodbu, ložnici, obývací pokoj, chodbu, lázeň, kuchyň, WC, rozestavěnou místnost a dvě technické místnosti s umístěním kotle na vytápění a boilery na ohřev TÚV. V obvodových konstrukcích se projevuje lokálně zabudovaná vlhkost.

1.3. Původní stodola - sklad
Objekt původní stodoly je užívaný jako sklad a sklep. Je postavený na základových pasech bez podsklepení a vybudovaného podkroví. Obvodové nosné konstrukce jsou zděné z míšeného zdiva cihla, kámen. Podlahové konstrukce z dusané hlíny na původním mlatu a v obezděné části - skladu z betonové mazaniny. Stropní konstrukce pouze v části sklad, jinak neprovedena. Zastřešení je dřevěným krovem sedlového typu, krytinu tvoří tašky Bramac. Z klempířských prvků provedeny žlaby a svody. Venkovní omítky vápenné hladké, vnitřní omítky pouze v části sklepní. Elektroinstalace zavedena 230/400 V. Okno osazeno dřevěné, dveře a vrata osazena dřevěná.
Objekt je běžně udržovaný, bez zásadních nedostatků.

1.4. Přístřešek
Přístřešek pro posezení vybudovaný kolem roku 2022 na základových patkách, nosná konstrukce z pěti dřevěných sloupů a pozednice uchycené na obytné části č.p. 48. Zastřešení pultovým dřevěným krovem pokrytým taškovou krytinou Bramac. Z klempířských prvků proveden žlab a svod z pozinkovaného plechu. Podlaha je provedena z betonové dlažby.

Parametry domu

Cena
1 893 533 Kč /za nemovitost
Poznámka k ceně
nejnižší podání
Aktualizováno
21. 11. 2025
Adresa
Litohlavy
ID
194E66921S
Stavba
Smíšená
Stav objektu
Dobrý
Druh objektu
Samostatný
Užitná plocha
142 m2
Plocha pozemku
653 m2
Třída energetické náročnosti
G - Mimořádně nehospodárná
Elektřina
230V
Plyn
Plynovod
Odpad
Veřejná kanalizace
Voda
Vodovod
Zdroj teplé vody
Plynový kotel

Kontaktovat makléře

Realitní kancelář

e-drazby.cz s.r.o.

Nerudova 956/24, Hradec Králové

Chystáte se prodat nemovitost?
Pomůžeme Vám!

Máte zájem o tento dům?

Tímto, v souladu s nařízením Evropského parlamentu a Rady (EU) 2016/679, v platném znění, prohlašuji, že mi je alespoň 16 let a uděluji tak svůj souhlas se zpracováním zadaných údajů (jméno, telefon, e-mail, ip adresa) společnosti B3 Technology, s.r.o., IČ: 07330600, se sídlem Novostavby 126/23, 435 11 Lom (správce dat), za účelem předání dotazu z tohoto formuláře Vámi vybranému inzerentovi a zpětného kontaktování mé osoby. Osobní údaje bude správce zpracovávat manuálně i automaticky přímo prostřednictvím svých zaměstnanců. Informace předané tímto formulářem budou uloženy v databázi správce maximálně po dobu 10 let. Odvolání souhlasu s uložením a zpracováním poskytnutých dat lze e-mailem na info@realitypro.eu. V případě podezření na neoprávněné použití Vámi poskytnutých údajů máte právo předat podnět k šetření Úřadu pro ochranu osobních údajů. Více informací
Chystáte se prodat nemovitost?
Pomůžeme Vám!

Inzerát si prohlédlo 0 lidí

Prodejce

Zuzana Filipová

Zuzana Filipová

Hlídací pes

Chcete dostávat emailem podobné nabídky dražby rodinných domů v Litohlavách?

Podobné nemovitosti