Skoronice
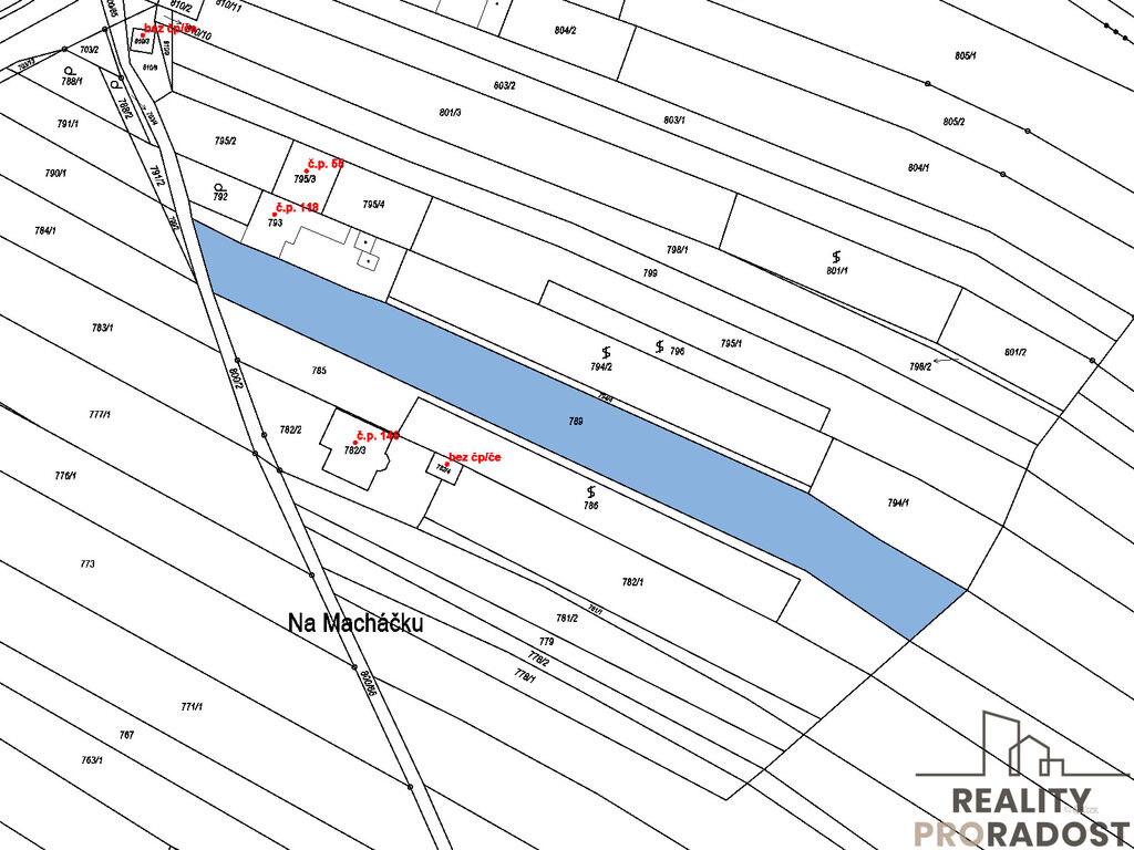
Nabízíme k prodeji pozemek určený k bydlení o celkové ploše 2691 m², nacházející se v části obce Skoronice, v okresu Hodonín. Tento pozemek se pyšní výhodnou polohou v klidné oblasti, která nabízí krásný výhled do okolní krajiny. Ideální pro ty, kdo hledají místo pro výstavbu rodinného domu v harmonii s přírodou. Šířka parcely je cca 14 m. Všechny IS jsou na hranici pozemku.
V obci Skoronice probíhá změna územního plánu, cca za 2 roky bude celá parcela v zastavěném území. Nyní je zastavitelná cca 1/2.
Pozemek je charakterizován svými hranicemi, které jsou všechny jasně vymezeny, což usnadňuje jeho případné rozdělení nebo další úpravy. Dostupnost pozemku je zajištěna silnicí, což znamená bezproblémové napojení na okolní komunikace a město Kyjov, které je v dojezdové vzdálenosti.
Tato lokalita se může pyšnit nejen malebným prostředím, ale také klidnou atmosférou, ideální pro rodinný život nebo rekreační objekt. Vzhledem k velikosti pozemku je zde dostatek prostoru pro realizaci vlastních představ a projektů, ať už se jedná o novostavbu rodinného domu, zahrady nebo jiných doplňkových staveb.
Koupě tohoto pozemku je skvělou příležitostí pro investici do nemovitosti s potenciálem. Nechte se okouzlit krásou tohoto místa a užijte si výhody bydlení v přírodě se snadným přístupem k občanské vybavenosti v blízkém okolí. Obec Skoronice sousedí s obcí Vlkoš, kde je veškerá občanská vybavenost.
V případě zájmu o prohlídku nás neváhejte kontaktovat.
 
                                        Vídeňská 1014/18b, Brno
Máte zájem o tento pozemek?
Inzerát si prohlédlo 2 lidí
 
                                Blanka Šubrtová
Chcete dostávat emailem podobné nabídky prodeje pozemků pro bydlení v Skoronicích?