Prodej pozemku pro bydlení, Jeseník, Rejvízská, 1500 m2 (ID: 2585556)

Rejvízská, Jeseník, Bukovice

1 750 Kč /za metr čtvereční HYPOTÉKA od 8 Kč /za měsíc
Prověřené firmy v Jeseníku

Informace k pozemku

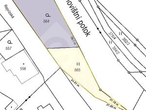
Hledáte klidné místo pro svůj vysněný domov nebo rekreační útočiště? Máme pro vás jedinečnou nabídku! Nabízíme pozemek o rozloze 1005 m², který se nachází v malebné krajině Jeseníků, na okraji města Jeseník části Bukovice.

Tento pozemek je v územním plánu veden jako plochy BV - bydlení v rodinných domech venkovského typu, což z něj činí mimořádně zajímavou nabídku nejen svou polohou, ale i možnostmi využití. Kouzlo pozemku spočívá nejen v jeho velikosti, ale také v klidu a soukromí, které poskytuje s klidným potokem protékající na kraji pozemku.

Městská část Bukovice nabízí mnoho výhod. Blízká dostupnost do centra města, obchodů, škol apod. a zároveň již venkovský charakter okolní zástavby.

Parametry pozemku

Cena
1 750 Kč /za metr čtvereční Spočítat hypotéku
Aktualizováno
23. 7. 2025
Adresa
Rejvízská, Jeseník, Bukovice
ID
2024-17-10
Lokalita objektu
Okraj obce
Plocha pozemku
1500 m2

Kontaktovat makléře

Máte zájem o tento pozemek?

Tímto, v souladu s nařízením Evropského parlamentu a Rady (EU) 2016/679, v platném znění, prohlašuji, že mi je alespoň 16 let a uděluji tak svůj souhlas se zpracováním zadaných údajů (jméno, telefon, e-mail, ip adresa) společnosti B3 Technology, s.r.o., IČ: 07330600, se sídlem Novostavby 126/23, 435 11 Lom (správce dat), za účelem předání dotazu z tohoto formuláře Vámi vybranému inzerentovi a zpětného kontaktování mé osoby. Osobní údaje bude správce zpracovávat manuálně i automaticky přímo prostřednictvím svých zaměstnanců. Informace předané tímto formulářem budou uloženy v databázi správce maximálně po dobu 10 let. Odvolání souhlasu s uložením a zpracováním poskytnutých dat lze e-mailem na info@realitypro.eu. V případě podezření na neoprávněné použití Vámi poskytnutých údajů máte právo předat podnět k šetření Úřadu pro ochranu osobních údajů. Více informací
Chystáte se prodat nemovitost?
Pomůžeme Vám!

Inzerát si prohlédlo 11 lidí

Prodejce

Martin Trsťan

Martin Trsťan

Hlídací pes

Chcete dostávat emailem podobné nabídky prodeje pozemků pro bydlení v Jeseníku?

Podobné nemovitosti