Prodej pozemku pro bydlení, Mostkovice, 419 m2 (ID: 2386056)

Mostkovice

4 900 Kč /za metr čtvereční HYPOTÉKA od 22 Kč /za měsíc

(Kupní cena zahrnuje právní servis a provizi RK)

Prověřené firmy v Mostkovicích

Informace k pozemku

Nabízíme k prodeji pozemek č. 6 o výměře 419m2 v exkluzivní klidné lokalitě s výhledem na Velký Kosíř a obec Ohrozim v těsné blízkosti lesa a rekreační oblasti Plumlovské přehrady, která je ideální pro aktivní trávení volného času, jako je cyklistika, procházky, vodní sporty, rybaření či relaxace v přírodě.
Lokalita umožňuje pohodové bydlení na klidném místě v těsné blízkosti přírody a zároveň mít v dosahu veškerou občanskou vybavenost obce Mostkovice potažmo skvěle dostupného města Prostějova (vzdálenost od centra města 4 km).
Pozemek je přístupný po obecní asfaltové komunikaci a nabízí připravené inženýrské sítě (vodovod, kanalizace, elektřina a veřejné osvětlení) na hranici pozemku.
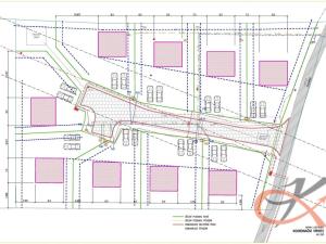
Pozemek se nachází na ulici Chatařská v obci Mostkovice a je umístěn v mírném svahu. V územním plánu jsou plochy vymezeny jako plochy hromadné rekreace, které umožňují výstavbu rekreačních objektů pro hromadnou nebo individuální rekreaci.

V nabídce jsou následující pozemky:

Pozemek č.1 364 m2 – PRODÁNO
Pozemek č.2 417 m2 – PRODÁNO
Pozemek č.3 417 m2 – PRODÁNO
Pozemek č.4 450 m2 – PRODÁNO
Pozemek č.5 427 m2 – REZERVACE
Pozemek č.6 419 m2 – volný
Pozemek č.7 457 m2 – PRODÁNO
Pozemek č.8 454 m2 – PRODÁNO
Pozemek č.9 484 m2 – PRODÁNO

Parametry pozemku

Cena
4 900 Kč /za metr čtvereční Spočítat hypotéku
Poznámka k ceně
Kupní cena zahrnuje právní servis a provizi RK
Aktualizováno
24. 9. 2025
Adresa
Mostkovice
ID
6895
Lokalita objektu
Klidná část obce
Plocha pozemku
419 m2
Komunikace
Dlážděná, Zpevněná
Převod do OV

Kontaktovat makléře

Realitní kancelář

Logo Reality Kocourek

Reality Kocourek

Palackého 2205, Rožnov pod Radhoštěm

Chystáte se prodat nemovitost?
Pomůžeme Vám!

Máte zájem o tento pozemek?

Tímto, v souladu s nařízením Evropského parlamentu a Rady (EU) 2016/679, v platném znění, prohlašuji, že mi je alespoň 16 let a uděluji tak svůj souhlas se zpracováním zadaných údajů (jméno, telefon, e-mail, ip adresa) společnosti B3 Technology, s.r.o., IČ: 07330600, se sídlem Novostavby 126/23, 435 11 Lom (správce dat), za účelem předání dotazu z tohoto formuláře Vámi vybranému inzerentovi a zpětného kontaktování mé osoby. Osobní údaje bude správce zpracovávat manuálně i automaticky přímo prostřednictvím svých zaměstnanců. Informace předané tímto formulářem budou uloženy v databázi správce maximálně po dobu 10 let. Odvolání souhlasu s uložením a zpracováním poskytnutých dat lze e-mailem na info@realitypro.eu. V případě podezření na neoprávněné použití Vámi poskytnutých údajů máte právo předat podnět k šetření Úřadu pro ochranu osobních údajů. Více informací
Chystáte se prodat nemovitost?
Pomůžeme Vám!

Inzerát si prohlédlo 16 lidí

Prodejce

Mgr. František Kocourek

Mgr. František Kocourek

Hlídací pes

Chcete dostávat emailem podobné nabídky prodeje pozemků pro bydlení v Mostkovicích?

Podobné nemovitosti