Remax Monarcha

Prodej podílu 1/36 pozemku pro bydlení, Tršice, 79 m2

Tršice

165 000 Kč /za nemovitost Získejte výhodnou HYPOTÉKU
Prověřené firmy v Tršicích

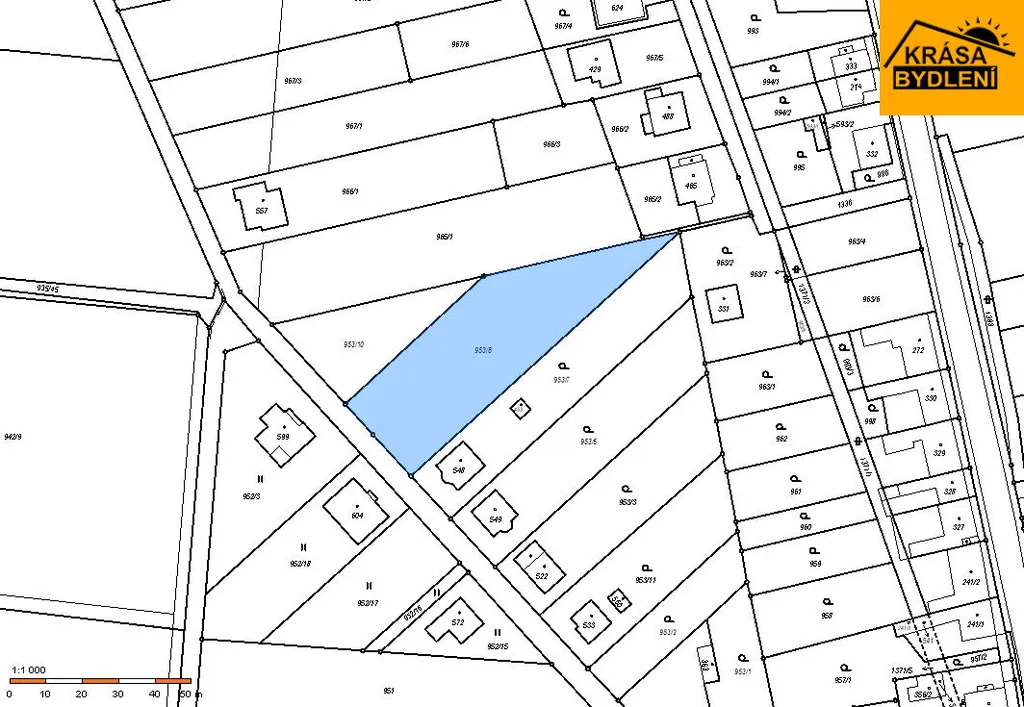
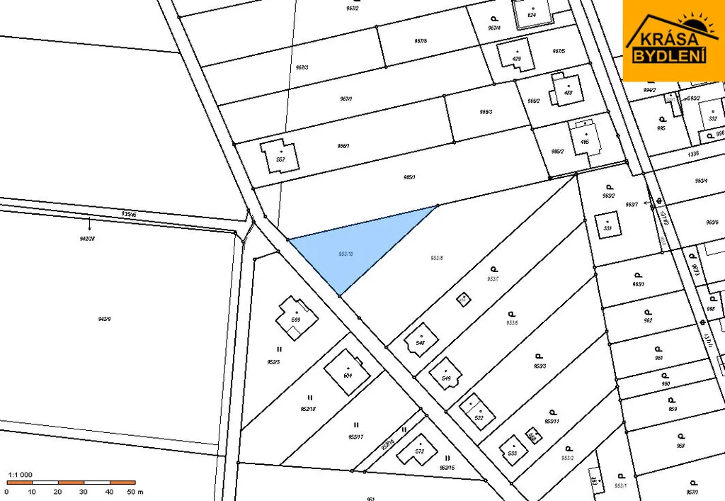
Informace k pozemku

Exkluzivní prodej spoluvlastnického podílu o velikosti id. 1/36 k pozemkům o celkové výměře 2.829 m2 ( tedy id. 1/36 podílu - 79 m2), vedených v katastru nemovitostí jako orná půda. Pozemky jsou podle územního plánu obce určeny pro pro výstavbu rodinných domů. Viz mapy. K pozemkům vede obecní cesta s veřejným osvětlením. Inženýrské sítě na hranici pozemku. Volné ihned! Skvělá investiční nabídka.

Parametry pozemku

Cena
165 000 Kč /za nemovitost
Velikost podílu
1/36
Aktualizováno
13. 4. 2026
Adresa
Tršice
ID
N02145
Lokalita objektu
Klidná část obce
Podlahová plocha
79 m2
Plocha pozemku
79 m2
Komunikace
Asfaltová
Doprava
Silnice, Autobus

Kontaktovat makléře

Máte zájem o tento pozemek?

Tímto, v souladu s nařízením Evropského parlamentu a Rady (EU) 2016/679, v platném znění, prohlašuji, že mi je alespoň 16 let a uděluji tak svůj souhlas se zpracováním zadaných údajů (jméno, telefon, e-mail, ip adresa) společnosti B3 Technology, s.r.o., IČ: 07330600, se sídlem Novostavby 126/23, 435 11 Lom (správce dat), za účelem předání dotazu z tohoto formuláře Vámi vybranému inzerentovi a zpětného kontaktování mé osoby. Osobní údaje bude správce zpracovávat manuálně i automaticky přímo prostřednictvím svých zaměstnanců. Informace předané tímto formulářem budou uloženy v databázi správce maximálně po dobu 10 let. Odvolání souhlasu s uložením a zpracováním poskytnutých dat lze e-mailem na info@realitypro.eu. V případě podezření na neoprávněné použití Vámi poskytnutých údajů máte právo předat podnět k šetření Úřadu pro ochranu osobních údajů. Více informací
Chystáte se prodat nemovitost?
Pomůžeme Vám!

Inzerát si prohlédlo 25 lidí

Prodejce

Ludmila Valinčičová

Ludmila Valinčičová

Hlídací pes

Chcete dostávat emailem podobné nabídky prodeje podílu pozemků pro bydlení v Tršicích?

Podobné nemovitosti