Prodej pozemku, Křičeň, 1045 m2 (ID: 2854266)

Křičeň

3 500 000 Kč HYPOTÉKA od 15 643 Kč /za měsíc

(cena k jednání)

Prověřené firmy v Křični

Informace k pozemku

Prodej pozemku pro bydlení Křičeň

Nabízím vám pozemek v obci Křičeň (3 km od Lázní Bohdaneč) o celkové ploše 1045 m². Rovinatý pozemek je přístupný z asfaltové obecní komunikace, která vede z centra obce směrem k vesnici Dolany. Na pozemku je několik vzrostlých ovocných stromů a stodola určena k demolici.

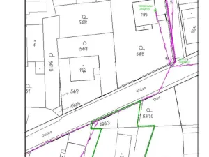
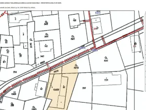
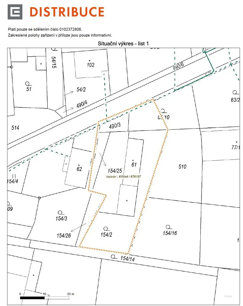
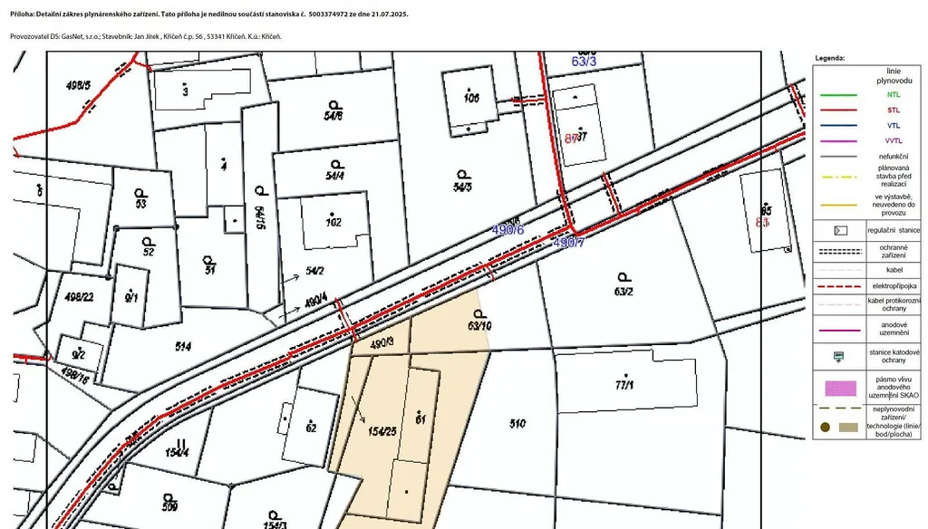
Přípojky (viz situační výkresy):
Na pozemek je vyvedena obecní kanalizace, dále se zde nachází studna.
Elektřina, plyn a CETIN vede při bližší straně silnice.
Obecní vodovod je na protější straně silnice.

Výhodou nemovitosti je dobrá dopravní dostupnost – 100 m od zastávky autobusu, cca 5 km na dálnici D11. Pro relaxaci lze využít blízkou cyklotrasu a blízké lesy, případně dětské hřiště. V obci najdete obchod. Ostatní zázemí naleznete v prostředí města Lázně Bohdaneč – školy, školky, lékárny, pošta, lázeňský bazén, MHD do Pardubic a další služby.

Cena je k jednání.

Parametry pozemku

Cena
3 500 000 Kč Spočítat hypotéku
Poznámka k ceně
cena k jednání
Aktualizováno
7. 4. 2026
Adresa
Křičeň
ID
227
Plocha pozemku
1045 m2

Kontaktovat makléře

Máte zájem o tento pozemek?

Tímto, v souladu s nařízením Evropského parlamentu a Rady (EU) 2016/679, v platném znění, prohlašuji, že mi je alespoň 16 let a uděluji tak svůj souhlas se zpracováním zadaných údajů (jméno, telefon, e-mail, ip adresa) společnosti B3 Technology, s.r.o., IČ: 07330600, se sídlem Novostavby 126/23, 435 11 Lom (správce dat), za účelem předání dotazu z tohoto formuláře Vámi vybranému inzerentovi a zpětného kontaktování mé osoby. Osobní údaje bude správce zpracovávat manuálně i automaticky přímo prostřednictvím svých zaměstnanců. Informace předané tímto formulářem budou uloženy v databázi správce maximálně po dobu 10 let. Odvolání souhlasu s uložením a zpracováním poskytnutých dat lze e-mailem na info@realitypro.eu. V případě podezření na neoprávněné použití Vámi poskytnutých údajů máte právo předat podnět k šetření Úřadu pro ochranu osobních údajů. Více informací
Chystáte se prodat nemovitost?
Pomůžeme Vám!

Inzerát si prohlédlo 0 lidí

Prodejce

Ing. Jan Jírek

Ing. Jan Jírek

Hlídací pes

Chcete dostávat emailem podobné nabídky prodeje pozemků v Křični?