Dražba bytu 2+kk, Zlín, Lorencova, 65 m2

Lorencova, Zlín

4 335 200 Kč /za nemovitost Získejte výhodnou HYPOTÉKU

(včetně provize)

Prověřené firmy v Zlíně

Informace k bytu

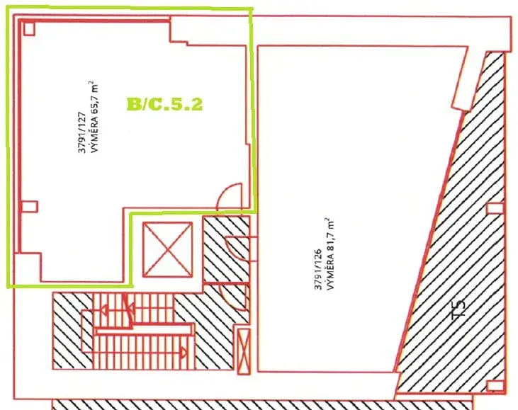
Bytová jednotka č. 3791/127 o dispozici 2+kk a podlahové ploše 65,7 m2, situovanou ve 4. nadzemním podlaží moderního bytového domu na ulici Lorencova v centru Zlína.

Dispozice a stav bytu:
Byt je řešen jako nadstandardně prosvětlené praktické 2+kk s dostatečnou výměrou 65,7 m2, která umožňuje komfortní bydlení jednotlivci i páru.
Jednotka je aktuálně ve fázi rozestavěnosti přibližně 70 %. To představuje ideální příležitost pro dokončení dle vlastních představ a standardu budoucího vlastníka.
V bytě jsou dokončeny nosné konstrukce, okna, základní rozvody a část instalací. Naopak chybí finální povrchy podlah, kompletní vnitřní povrchové úpravy, sanitární vybavení, kuchyňská linka a část technologií. Tento stav umožňuje přizpůsobení interiéru individuálním požadavkům.

Příslušenství:
K bytové jednotce náleží odpovídající spoluvlastnický podíl na společných částech domu a pozemku.

Bytový dům:
Dům je zděné konstrukce, má 11 podlaží a je rozdělen do několika funkčních celků. Objekt je zateplen kontaktním zateplovacím systémem, disponuje výtahem a moderním architektonickým řešením. Součástí domu jsou rovněž nebytové prostory a technické zázemí.

Lokalita:
Nemovitost se nachází ve vyhledávané části města s kompletní občanskou vybaveností v bezprostředním okolí. V docházkové vzdálenosti je zastávka MHD, obchody, služby i další občanská infrastruktura. Výborné napojení na hlavní dopravní tahy zajišťuje pohodlné spojení v rámci města i mimo něj.

Parametry bytu

Cena
4 335 200 Kč /za nemovitost
Poznámka k ceně
včetně provize
Aktualizováno
4. 3. 2026
Adresa
Lorencova, Zlín
ID
26DR000108
Stavba
Smíšená
Stav objektu
Novostavba
Patro
4.
Vlastnictví
Osobní
Užitná plocha
65 m2
Třída energetické náročnosti
G - Mimořádně nehospodárná

Kontaktovat makléře

Máte zájem o tento byt?

Tímto, v souladu s nařízením Evropského parlamentu a Rady (EU) 2016/679, v platném znění, prohlašuji, že mi je alespoň 16 let a uděluji tak svůj souhlas se zpracováním zadaných údajů (jméno, telefon, e-mail, ip adresa) společnosti B3 Technology, s.r.o., IČ: 07330600, se sídlem Novostavby 126/23, 435 11 Lom (správce dat), za účelem předání dotazu z tohoto formuláře Vámi vybranému inzerentovi a zpětného kontaktování mé osoby. Osobní údaje bude správce zpracovávat manuálně i automaticky přímo prostřednictvím svých zaměstnanců. Informace předané tímto formulářem budou uloženy v databázi správce maximálně po dobu 10 let. Odvolání souhlasu s uložením a zpracováním poskytnutých dat lze e-mailem na info@realitypro.eu. V případě podezření na neoprávněné použití Vámi poskytnutých údajů máte právo předat podnět k šetření Úřadu pro ochranu osobních údajů. Více informací
Chystáte se prodat nemovitost?
Pomůžeme Vám!

Inzerát si prohlédlo 28 lidí

Prodejce

Mgr. Klára Křížová

Mgr. Klára Křížová

Hlídací pes

Chcete dostávat emailem podobné nabídky dražby bytů 2+kk v Zlíně?

Podobné nemovitosti