Prodej pozemku, Nové Hrady, 2679 m2

Nové Hrady

148 000 Kč HYPOTÉKA od 661 Kč /za měsíc

(Prodávající si vyhrazuje právo vybrat kupujícího na základě jím zvolených kritérií.)

Prověřené firmy v Nových Hradech

Informace k pozemku

Prodej pozemků Nové Hrady u Skutče

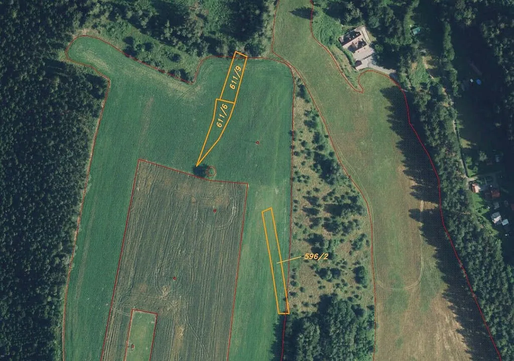
Nabízíme k prodeji tři pozemky o celkové výměře 2 679 m² nedaleko obce Nové Hrady u Skutče. V katastru nemovitostí jsou vedeny jako orná půda a trvalý travní porost. Velká část vyměry je vedena ve veřejném registru půdy LPIS s možností uplatnění dotace.
Obec Nové Hrady se nachází v okrese Ústí nad Orlicí, kraj Pardubický. Významným turistickým cílem oblasti je chráněný přírodní útvar Toulovcovy maštale tvořený pískovci bizarních tvarů, vzniklými v důsledku větrné a vodní eroze. Svojí rozlohou přes 10 km2 je lokalita vhodná k turistice, cykloturistice i rekreaci. Název katastrálního území je Nové Hrady u Skutče. V případě zájmu nás neváhejte kontaktovat.

Parametry pozemku

Cena
Poznámka k ceně
Prodávající si vyhrazuje právo vybrat kupujícího na základě jím zvolených kritérií.
Aktualizováno
24. 2. 2026
Adresa
Nové Hrady
ID
N01324
Plocha pozemku
2679 m2

Kontaktovat makléře

Máte zájem o tento pozemek?

Tímto, v souladu s nařízením Evropského parlamentu a Rady (EU) 2016/679, v platném znění, prohlašuji, že mi je alespoň 16 let a uděluji tak svůj souhlas se zpracováním zadaných údajů (jméno, telefon, e-mail, ip adresa) společnosti B3 Technology, s.r.o., IČ: 07330600, se sídlem Novostavby 126/23, 435 11 Lom (správce dat), za účelem předání dotazu z tohoto formuláře Vámi vybranému inzerentovi a zpětného kontaktování mé osoby. Osobní údaje bude správce zpracovávat manuálně i automaticky přímo prostřednictvím svých zaměstnanců. Informace předané tímto formulářem budou uloženy v databázi správce maximálně po dobu 10 let. Odvolání souhlasu s uložením a zpracováním poskytnutých dat lze e-mailem na info@realitypro.eu. V případě podezření na neoprávněné použití Vámi poskytnutých údajů máte právo předat podnět k šetření Úřadu pro ochranu osobních údajů. Více informací
Chystáte se prodat nemovitost?
Pomůžeme Vám!

Inzerát si prohlédlo 1 lidí

Prodejce

Romana Jungwirthová

Romana Jungwirthová

Hlídací pes

Chcete dostávat emailem podobné nabídky prodeje pozemků v Nových Hradech (okr. Ústí nad Orlicí)?

Podobné nemovitosti