Prodej pozemku, Albrechtice nad Vltavou, 700 m2 (ID: 2771395)

Albrechtice nad Vltavou

Cena na vyžádání /za nemovitost Získejte výhodnou HYPOTÉKU

(minimální cena do výběrového řízení 440.000,- Kč)

Prověřené firmy v Albrechticích nad Vltavou

Výkup a prodej starého nábytku

Informace k pozemku

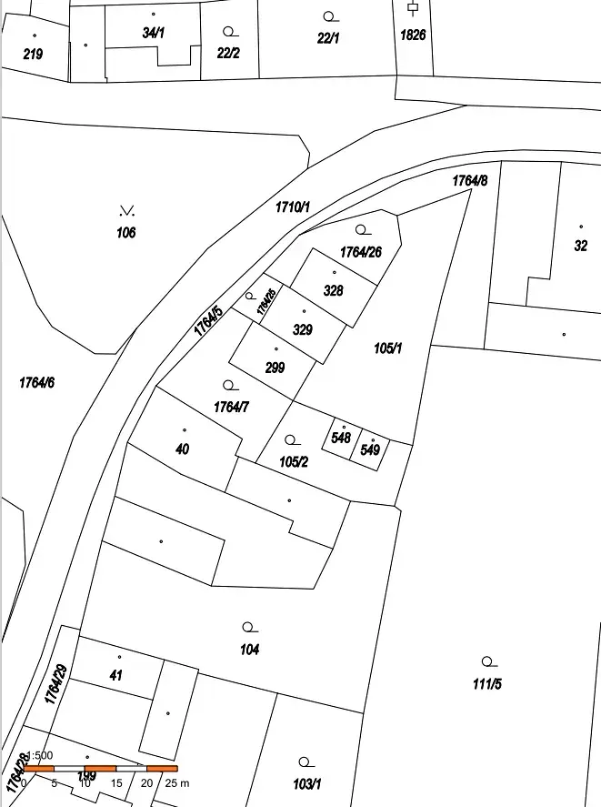
Jedná se o prodej pozemku parcely číslo 105/1 o výměře 501 m2 s druhem pozemku ostatní plocha, jiná plocha a pozemku parcely číslo 105/2 o výměře 199 m2 s druhem pozemku zahrada.
Předmětné nemovitosti jsou zapsány v katastru nemovitostí u Katastrálního úřadu pro Jihočeský kraj, Katastrálního pracoviště Písek na LV č. 27, pro katastrální území Albrechtice nad Vltavou a obec Albrechtice nad Vltavou.
Součástí pozemku je stavba – zpevněná plocha asfalt, který je předmětem ocenění a taktéž předmětem prodeje.
Na předmětné pozemky jsou uzavřeny 3 nájemní smlouvy, za účelem přístupu k nemovitostem č.p. 153, 154, 155 a stavbám na pozemcích st. 548 a 549. Nájemní smlouvy skončí 30 dnem po převodu vlastnického práva na nového vlastníka.
V případě, že výherce VŘ bude odlišný od vlastníků RD č.p. 153, 154, 155 a staveb na pozemcích st. 548 a 549 bude každému vlastníkovi, pro kterého pozemek p.č. 105/1 slouží jako přístup, zřízeno před uzavřením KS s výhercem VŘ věcné břemeno přístupu.

Prodej formou výběrového řízení, podmínky VŘ na internetových stránkách Lesy České republiky, s.p., prodej nepotřebného nemovitého majetku.

Bližší informace na LS Vodňany.

Parametry pozemku

Cena
Cena na vyžádání Spočítat hypotéku
Poznámka k ceně
minimální cena do výběrového řízení 440.000,- Kč
Aktualizováno
28. 2. 2026
Adresa
Albrechtice nad Vltavou
ID
944/199/S335/20
Plocha pozemku
700 m2

Kontaktovat makléře

Realitní kancelář

Lesy České republiky

Přemyslova 1106/19, Hradec Králové

Chystáte se prodat nemovitost?
Pomůžeme Vám!

Máte zájem o tento pozemek?

Tímto, v souladu s nařízením Evropského parlamentu a Rady (EU) 2016/679, v platném znění, prohlašuji, že mi je alespoň 16 let a uděluji tak svůj souhlas se zpracováním zadaných údajů (jméno, telefon, e-mail, ip adresa) společnosti B3 Technology, s.r.o., IČ: 07330600, se sídlem Novostavby 126/23, 435 11 Lom (správce dat), za účelem předání dotazu z tohoto formuláře Vámi vybranému inzerentovi a zpětného kontaktování mé osoby. Osobní údaje bude správce zpracovávat manuálně i automaticky přímo prostřednictvím svých zaměstnanců. Informace předané tímto formulářem budou uloženy v databázi správce maximálně po dobu 10 let. Odvolání souhlasu s uložením a zpracováním poskytnutých dat lze e-mailem na info@realitypro.eu. V případě podezření na neoprávněné použití Vámi poskytnutých údajů máte právo předat podnět k šetření Úřadu pro ochranu osobních údajů. Více informací
Chystáte se prodat nemovitost?
Pomůžeme Vám!

Inzerát si prohlédlo 6 lidí

Prodejce

Ing. Miroslav Jačka

Ing. Miroslav Jačka

Hlídací pes

Chcete dostávat emailem podobné nabídky prodeje pozemků (ostatní) v Albrechticích nad Vltavou?

Podobné nemovitosti