Prodej pole, Mělník, Vehlovská, 20708 m2 (ID: 2737625)

Vehlovská, Mělník

618 800 Kč /za nemovitost HYPOTÉKA od 2 766 Kč /za měsíc
Prověřené firmy v Mělníku

Informace k pozemku

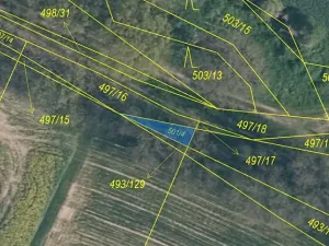
Jedná se o soubor pozemků, vedených jako orná půda: p.č.493/108 o 5387 m2, p.č.493/118 o 2942 m2, p.č.493/122 o 3267 m2, p.č.493/129 o 11 m2,
p.č.498/26 o 8673 m2, a dále ostatní plochy a komunikace na LV č.384
pro k.ú. Vehlovice. Pozemky jsou zemědělskými pozemky, resp. přilehlými k těmto pozemkům, a jsou takto i využívány. Nachází se mimo zastavitelné území obce Vehlovice u Mělníka.

Parametry pozemku

Cena
618 800 Kč /za nemovitost Spočítat hypotéku
Aktualizováno
1. 12. 2025
Adresa
Vehlovská, Mělník
ID
1667
Plocha pozemku
20708 m2

Kontaktovat makléře

Máte zájem o tento pozemek?

Tímto, v souladu s nařízením Evropského parlamentu a Rady (EU) 2016/679, v platném znění, prohlašuji, že mi je alespoň 16 let a uděluji tak svůj souhlas se zpracováním zadaných údajů (jméno, telefon, e-mail, ip adresa) společnosti B3 Technology, s.r.o., IČ: 07330600, se sídlem Novostavby 126/23, 435 11 Lom (správce dat), za účelem předání dotazu z tohoto formuláře Vámi vybranému inzerentovi a zpětného kontaktování mé osoby. Osobní údaje bude správce zpracovávat manuálně i automaticky přímo prostřednictvím svých zaměstnanců. Informace předané tímto formulářem budou uloženy v databázi správce maximálně po dobu 10 let. Odvolání souhlasu s uložením a zpracováním poskytnutých dat lze e-mailem na info@realitypro.eu. V případě podezření na neoprávněné použití Vámi poskytnutých údajů máte právo předat podnět k šetření Úřadu pro ochranu osobních údajů. Více informací
Chystáte se prodat nemovitost?
Pomůžeme Vám!

Inzerát si prohlédlo 7 lidí

Prodejce

Mgr. Pavlína Woodhams

Mgr. Pavlína Woodhams

Hlídací pes

Chcete dostávat emailem podobné nabídky prodeje polí v Mělníku?

Podobné nemovitosti