Prodej pole, Strančice, 21812 m2 (ID: 2727477)

Strančice

20 721 400 Kč /za nemovitost HYPOTÉKA od 92 612 Kč /za měsíc
Prověřené firmy v Strančicích

Informace k pozemku

Nabízím k prodeji zajímavý pozemek v katastrálním území Strančice, o celkové výměře 21 812 m2.
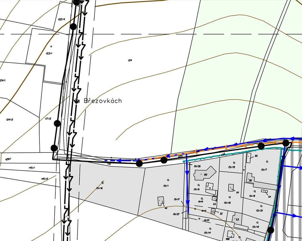
Pozemky patří pod LV: 1155, parcelní číslo: 124.
Celková cena za pozemky je: 20 721 400 Kč (950 Kč/m2) a dále částka za službu realitky.
Pozemek leží na kraji obce v blízkosti nájezdu na dálnici D1 a je přístupný ze 2 obecních asfaltových cest. Nad krajem pozemku vede VVN.
Na pozemcích je pachtovní smlouva s Farma Janda s.r.o. na dobu neurčitou, rok výpovědní lhůta, 4 000Kč/ha.
V katastru probíhá změna územního plánu a pozemek je nově veden jako plocha občanské vybavenosti.

Parametry pozemku

Cena
20 721 400 Kč /za nemovitost Spočítat hypotéku
Aktualizováno
7. 11. 2025
Adresa
Strančice
ID
7872
Lokalita objektu
Okraj obce
Plocha pozemku
21812 m2

Kontaktovat makléře

Máte zájem o tento pozemek?

Tímto, v souladu s nařízením Evropského parlamentu a Rady (EU) 2016/679, v platném znění, prohlašuji, že mi je alespoň 16 let a uděluji tak svůj souhlas se zpracováním zadaných údajů (jméno, telefon, e-mail, ip adresa) společnosti B3 Technology, s.r.o., IČ: 07330600, se sídlem Novostavby 126/23, 435 11 Lom (správce dat), za účelem předání dotazu z tohoto formuláře Vámi vybranému inzerentovi a zpětného kontaktování mé osoby. Osobní údaje bude správce zpracovávat manuálně i automaticky přímo prostřednictvím svých zaměstnanců. Informace předané tímto formulářem budou uloženy v databázi správce maximálně po dobu 10 let. Odvolání souhlasu s uložením a zpracováním poskytnutých dat lze e-mailem na info@realitypro.eu. V případě podezření na neoprávněné použití Vámi poskytnutých údajů máte právo předat podnět k šetření Úřadu pro ochranu osobních údajů. Více informací
Chystáte se prodat nemovitost?
Pomůžeme Vám!

Inzerát si prohlédlo 0 lidí

Prodejce

Matěj Jehlička

Matěj Jehlička

Hlídací pes

Chcete dostávat emailem podobné nabídky prodeje polí v Strančicích?

Podobné nemovitosti