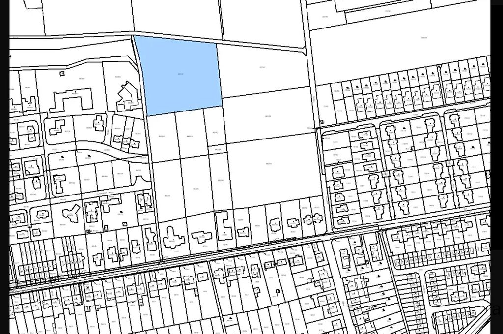
Prodej pole, Moravany, 9486 m2 (ID: 2684055)

Moravany

2 700 Kč /za metr čtvereční HYPOTÉKA od 12 Kč /za měsíc
Prověřené firmy v Moravanech

Informace k pozemku

Nabízíme k prodeji rozsáhlý pozemek o celkové výměře 9486 m² v obci Moravany. Tento pozemek kategorizovaný jako orná půda představuje dobrou investici pro ty, kteří hledají ideální lokalitu pro své projekty.

Pozemek se nachází v atraktivní lokalitě v Moravanech, která je známa svojí poklidnou atmosférou a výbornou dostupností.

Prohlídky jsou možné po předchozí domluvě. Pro více informací o této nemovitosti nebo sjednání prohlídky nás prosím kontaktujte nebo vyplňte níže uvedený formulář.

Parametry pozemku

Cena
2 700 Kč /za metr čtvereční Spočítat hypotéku
Aktualizováno
1. 10. 2025
Adresa
Moravany
Plocha pozemku
9486 m2

Kontaktovat makléře

Máte zájem o tento pozemek?

Tímto, v souladu s nařízením Evropského parlamentu a Rady (EU) 2016/679, v platném znění, prohlašuji, že mi je alespoň 16 let a uděluji tak svůj souhlas se zpracováním zadaných údajů (jméno, telefon, e-mail, ip adresa) společnosti B3 Technology, s.r.o., IČ: 07330600, se sídlem Novostavby 126/23, 435 11 Lom (správce dat), za účelem předání dotazu z tohoto formuláře Vámi vybranému inzerentovi a zpětného kontaktování mé osoby. Osobní údaje bude správce zpracovávat manuálně i automaticky přímo prostřednictvím svých zaměstnanců. Informace předané tímto formulářem budou uloženy v databázi správce maximálně po dobu 10 let. Odvolání souhlasu s uložením a zpracováním poskytnutých dat lze e-mailem na info@realitypro.eu. V případě podezření na neoprávněné použití Vámi poskytnutých údajů máte právo předat podnět k šetření Úřadu pro ochranu osobních údajů. Více informací
Chystáte se prodat nemovitost?
Pomůžeme Vám!

Inzerát si prohlédlo 1 lidí

Prodejce

Ing. Martin Hartman

Ing. Martin Hartman

Hlídací pes

Chcete dostávat emailem podobné nabídky prodeje polí v Moravanech (okr. Brno-venkov)?

Podobné nemovitosti