Prodej pozemku, Praha - Chodov, 912 m2 (ID: 2236572)

Praha 4

5 900 Kč /za metr čtvereční HYPOTÉKA od 26 Kč /za měsíc

(Uvedená kupní cena je v plné výši včetně daně z přidané hodnoty, nákladů na právní zastoupení a poplatku za bezpečnou depozitní úschovu financí.)

Prověřené firmy v Praze 4

Stěhovací služby

Výkup a prodej starého nábytku

Pojištění a finance

Informace k pozemku

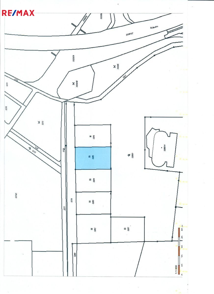
Nabízíme k prodeji výjimečný pozemek 912 m2 v k.ú. Praha – Chodov. Je veden v územním plánu tzv. plochy pro zeleň. Pozemek přímo sousedí se stanicí metra Roztyly linky ,,C, (stanice vzdálena cca 100 m) Veškeré inženýrské sítě se nachází v přilehlé komunikaci. Zajímavá investiční příležitost.

Prohlídky jsou možné kdykoliv po předchozí domluvě. Zajistíme pro vás také kompletní finanční servis, poradenství s hypotékou i pojištěním. Cena je včetně provize RK, obsahuje kompletní právní servis včetně advokátní úschovy a jednání na katastru nemovitostí. Pokud Vás nabídka zaujala, neváhejte nás kontaktovat, rádi Vás přivítáme na nezávazné prohlídce.
Prodávající si vyhrazuje právo vybrat kupujícího na základě jím zvolených kritérií.

Parametry pozemku

Cena
5 900 Kč /za metr čtvereční Spočítat hypotéku
Poznámka k ceně
Uvedená kupní cena je v plné výši včetně daně z přidané hodnoty, nákladů na právní zastoupení a poplatku za bezpečnou depozitní úschovu financí.
Aktualizováno
1. 5. 2026
Adresa
Praha 4
ID
175-NP01467
Lokalita objektu
Centrum obce
Plocha pozemku
912 m2
Převod do OV

Kontaktovat makléře

Máte zájem o tento pozemek?

Tímto, v souladu s nařízením Evropského parlamentu a Rady (EU) 2016/679, v platném znění, prohlašuji, že mi je alespoň 16 let a uděluji tak svůj souhlas se zpracováním zadaných údajů (jméno, telefon, e-mail, ip adresa) společnosti B3 Technology, s.r.o., IČ: 07330600, se sídlem Novostavby 126/23, 435 11 Lom (správce dat), za účelem předání dotazu z tohoto formuláře Vámi vybranému inzerentovi a zpětného kontaktování mé osoby. Osobní údaje bude správce zpracovávat manuálně i automaticky přímo prostřednictvím svých zaměstnanců. Informace předané tímto formulářem budou uloženy v databázi správce maximálně po dobu 10 let. Odvolání souhlasu s uložením a zpracováním poskytnutých dat lze e-mailem na info@realitypro.eu. V případě podezření na neoprávněné použití Vámi poskytnutých údajů máte právo předat podnět k šetření Úřadu pro ochranu osobních údajů. Více informací
Chystáte se prodat nemovitost?
Pomůžeme Vám!
Theleadway banner

Inzerát si prohlédlo 24 lidí

Prodejce

Josef Petýrek

Josef Petýrek

Hlídací pes

Chcete dostávat emailem podobné nabídky prodeje pozemků (ostatní) v Praze 4?

Podobné nemovitosti